VansAirForceForums  
Home > VansAirForceForums

- POSTING RULES
- Donate yearly (please).
- Advertise in here!

- Today's Posts | Insert Pics


Go Back   VAF Forums > Main > RV General Discussion/News
Register FAQ Members List Calendar Today's Posts

Reply
 
Thread Tools Search this Thread Display Modes
  #1  
Old 06-14-2009, 12:33 AM
Bob Axsom Bob Axsom is offline
 
Join Date: Mar 2005
Posts: 5,685
Default The First Speed Dash Results

On 6-13-09 at the Courtland, Alabama the first SARL speed dash event was held. Each pilot made a two way pass down the runway. I was given a set of results and I will compute the 2-way average.

Pilot/Airplane/NW pass speed(mph)/SW pass speed/2-way average
John Dawson/Beech Sierra/170.199/180.120/175.160
Stu Morse/Grumman AA5B/174.749/189.457/182.103
Jim Porter/Cirrus SR20/196.353/190.413/193.383
David Adams/Long EZ/207.501/204.998/206.250
Marvin Guthrie/Bonanza/222.730/228.880/225.805
Mike Thompson/RV-6/216.903/213.900/215.402
Bob Axsom/RV-6A/224.644/215.391/220.018
Mark Frederick/EVO Rocket/251.209/241.397/246.303
Tom Martin/EVO Rocket/262.258/244.523/253.391
Wayne Hadath/F1 Rocket/254.787/247.911/251.349
Jeff Ludwig/Glasair III/280.898/273.221/277.060

Bob Axsom
Reply With Quote
  #2  
Old 06-14-2009, 07:31 AM
Ironflight's Avatar
Ironflight Ironflight is offline
VAF Moderator / Line Boy
 
Join Date: Jan 2005
Location: Dayton, NV
Posts: 12,247
Default

Lookin' pretty fast there Bob !
__________________
Paul F. Dye
Editor at Large - KITPLANES Magazine
RV-8 - N188PD - "Valkyrie"
RV-6 (By Marriage) - N164MS - "Mikey"
RV-3B - N13PL - "Tsamsiyu"
A&P, EAA Tech Counselor/Flight Advisor
Dayton Valley Airpark (A34)
http://Ironflight.com
Reply With Quote
  #3  
Old 06-14-2009, 10:01 AM
rvmills's Avatar
rvmills rvmills is offline
 
Join Date: Nov 2007
Location: Reno, NV
Posts: 2,125
Default

Bob,

I saw Mike's SARL post/e-mail on the race results this morning (nice job...looks like you won your RV-Blue class and came in right behind the 3 Rockets...woo hoo!). I wondered about the speed dash, so thanks for posting this! That must have been a hoot! Did anyone take video of the speed dash!

Nice flying, and hope to see you at some of the races later this year (maybe out west?!)

Cheers,
Bob
__________________
Bob Mills
RV-6 "Rocket Six" N49VM
Reno-Stead, NV (KRTS)
President/Sport 47/49, Sport Class Air Racing
President, Formation Flying Inc (FFI)
Flight Lead, Lightning Formation Airshows
Reply With Quote
  #4  
Old 06-14-2009, 10:21 AM
Bob Axsom Bob Axsom is offline
 
Join Date: Mar 2005
Posts: 5,685
Default Tennessee Valley Air Race Results

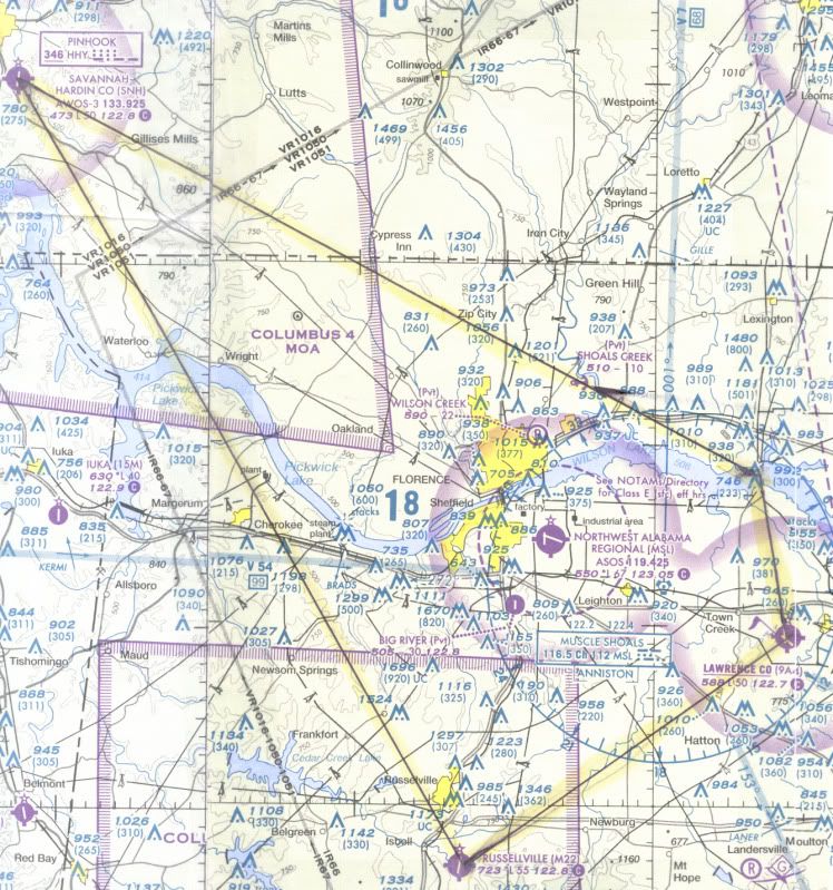
The race course was 129 nautical miles long as shown on this image.



The takeoff order by race # was 44, 28, 14, 109, GF, 71, 26, 83, 3, 2, 112, 704, 448, 807 as far as I can tell. There was some last minute juggling because of late entry and communication difficulty. In spite of the best effort to line every one up in fastest to slowest order there was some passing along the way.

We took off with self spacing when everyone was released as a serial group by the air boss then he called our turn individually for the run in to the start line associated with a water tower northeast of the airport. I got my call and rolled in passing over the tower at the altitude I have planned for the first leg. I had planned the route carefully on my check list giving the minimum altitude for the legs to remain 500 ft AGL. I also listed the height of the highest obstructions on each leg.

We were spread out well by the air boss calls for the individual start turn ins.

The first race turn was over a small island in the river just west of the dam. At our low altitude the island did not become visible until I was close in but once near it was easy to spot. Over the island I made a left turn toward the airport at Savannah, Tennessee. When 12 miles out I heard the leader (Race 44) making the required 1 mile approach call. Inside of 5 miles I could see the turn point over the south end or the airport and the turn was routine. The flight to the turn at Russellville was a similar experience except a good lookout was required for towers that extended above the minimum course line altitude for 500 ft AGL. I made the turn around the south end of the runway as required and made a gentle climb to 2,000 ft (which was the specified finish altitude) to get the tail wind for the entire leg to the finish back at the orange and white water tower.

I just received the preliminary results from Mike Thompson and I copied them below.

Race # Name Aircraft Class Speed (MPH) Speed (KTS)

Race 44 Lynn Farnsworth Lancair Legacy Unlimited 291.03 252.90

Race 28 Jeff Ludwig Glasair III Unlimited 251.43 218.49

Race 109 Tom Martin EVO Rocket Sport FX 250.32 217.52

Race 14 Wayne Hadath F1 Rocket Sport FX 242.30 210.55

Race GF George Fisher EVO Rocket Sport FX 227.75 197.91

Race 71 Bob Axsom RV-6A RV Blue 205.97 178.98

Race 3 Marvin Guthrie Bonanza FAC1RG 204.22 177.47

Race 26 Mike Thompson RV-6 RV Blue 204.18 177.43

Race 83 David Adams LongEZ Sprint 197.67 171.77

Race 112 Stu Morse Grumman AA5B FAC4FX 170.69 148.32

Race 704 Terry Hines Mooney Statesman FAC4RG 168.82 146.70

Race 448 Jim Porter Cirrus SR20 FAC3FX 162.93 141.58

Race 2 John Dawson Beech Sierra FAC3RG 160.88 139.80

Race 807 Tom Cawthorn C-172SP FAC4FX 128.57 111.72

Bob Axsom

Last edited by Bob Axsom : 06-14-2009 at 12:25 PM. Reason: Typos
Reply With Quote
  #5  
Old 06-14-2009, 10:35 AM
Bob Axsom Bob Axsom is offline
 
Join Date: Mar 2005
Posts: 5,685
Default Some video was taken but ...

There were media folks there and I'm sure a lot of video was taken but I don't know of any availability. There were some RV people there. I talked for a short time to a knowledgable RV-6 builder that is going the Sam James cowl and hard plennum route - obviously focussed on speed. Maybe we will hear something from someone that was there with a video camera.

Bob Axsom
Reply With Quote
  #6  
Old 06-14-2009, 12:15 PM
rv6rick's Avatar
rv6rick rv6rick is offline
JOAT-MON & Moderator
 
Join Date: Apr 2005
Location: Vincent, Ohio
Posts: 737
Default

Thanks for the posting the results. I had hoped to fly my F1 down with Tom Martin and Wayne Haddath but had a prior commitment. Hope to see you and the the other racers at a future event.
__________________
Rick Gray in Ohio - Builder Assist Center - 50+ Awards & counting

BRONZE / SILVER & GOLD LINDY AWARD WINNING RV's & Rockets

EAA Oshkosh Homebuilt Judge/Tech Counselor/Flight Advisor / F.A.S.T. Formation Flight Lead

Kitfox/RV4/6/7/8/9/10/12/14?s
6 RV10's
2 Time Sun n Fun Grand Champion
F1 Rocket #1 Oshkosh Gold Lindy Grand Champion!
F1 Rocket #2 :-)
Fastback RV8 Slider
RV14 #2 in progress

53 RV's & Rockets & counting


Whirlwind Prop Dealer

Love my Pitts S-1S
Reply With Quote
  #7  
Old 06-14-2009, 02:30 PM
nucleus nucleus is offline
 
Join Date: Sep 2006
Location: Bozeman, Montana
Posts: 858
Talking Cool!

Thanks for posting this Bob, your plane is fast! Were you limited on height, and were you allowed to dive before the pass or was it a straight and level speed?

Hans
__________________
Dr. Hans Conser
Bozeman Chiropractor
RV-6A 195 Hours, up for sale soon?
Reply With Quote
  #8  
Old 06-14-2009, 04:08 PM
Bob Axsom Bob Axsom is offline
 
Join Date: Mar 2005
Posts: 5,685
Default The Flight was tightly controlled

There was a formal procedure that was briefed but coordinated real time by the Air Boss. We were called for startup two at a time then we followed a "follow me" cart to runway 31 at the Courtland Airport (9A4). Each pair was released individually in a widely spaced sequence. Mike Thompson and I were paired for our runs. I was cleared for takeoff and after I was well underway Mike was released. The briefed plan called for each plane to fly straight out until 1 nautical mile from the GPS reference point for the airport then turn downwind climbing no higher than 1,500 MSL. We were to fly the downwind leg to 3 miles past the airport then turn and decent to 800 MSL (no lower than 200 ft AGL) and be level for 5 seconds before the starting line at the runway 31 threshold. We were to pass the entire length of the runway in level flight to 1 mile GPS going away from the airport then turn right to a heading of 350 and climb no higher than 1500 MSL on that heading to 2 miles GPS from the airport location. At that point we were to start a left turn to 220 and fly a left base entry for runway 13. From there we were to descend to 200 ft AGL minimum and be level for 5 seconds before starting the level pass the full length of runway 13. Then we broke of the run and recovered on runway 17. In fact the Air Boss was controlling the two airplanes and modifying the flight path to maintain separation as he saw the need.

Bob Axsom

Last edited by Bob Axsom : 06-15-2009 at 09:56 AM. Reason: typos
Reply With Quote
  #9  
Old 06-14-2009, 04:43 PM
Tom Martin Tom Martin is offline
 
Join Date: Jan 2005
Location: Ontario, Canada
Posts: 1,544
Default

As a participant in the speed dash I thought the event was fun and educational. At no time did I feel unsafe or at risk. It was well organized, briefed and executed. I would like to see more of these speed dash events organized as long as they are as well run as this one was. It was a learning experience for both the participants and the organizers.
The staff and volunteers did a fantastic job with less then perfect weather conditions and they are to be congratulated.
__________________
Tom Martin RV1 pilot 4.6hours!
CPL & IFR rated
EVO F1 Rocket 1000 hours,
2010 SARL Rocket 100 race, average speed of 238.6 knots/274.6mph
RV4, RV7, RV10, two HRIIs and five F1 Rockets
RV14 Tail dragger

Fairlea Field
St.Thomas, Ontario Canada, CYQS
fairleafield@gmail.com
Reply With Quote
  #10  
Old 06-14-2009, 09:52 PM
Christopher Murphy Christopher Murphy is offline
 
Join Date: Feb 2007
Location: colorado
Posts: 872
Default very nice post

Quote:
Originally Posted by Bob Axsom View Post
The race course was 129 nautical miles long as shown on this image.



The takeoff order by race # was 44, 28, 14, 109, GF, 71, 26, 83, 3, 2, 112, 704, 448, 807 as far as I can tell. There was some last minute juggling because of late entry and communication difficulty. In spite of the best effort to line every one up in fastest to slowest order there was some passing along the way.

We took off with self spacing when everyone was released as a serial group by the air boss then he called our turn individually for the run in to the start line associated with a water tower northeast of the airport. I got my call and rolled in passing over the tower at the altitude I have planned for the first leg. I had planned the route carefully on my check list giving the minimum altitude for the legs to remain 500 ft AGL. I also listed the height of the highest obstructions on each leg.

We were spread out well by the air boss calls for the individual start turn ins.

The first race turn was over a small island in the river just west of the dam. At our low altitude the island did not become visible until I was close in but once near it was easy to spot. Over the island I made a left turn toward the airport at Savannah, Tennessee. When 12 miles out I heard the leader (Race 44) making the required 1 mile approach call. Inside of 5 miles I could see the turn point over the south end or the airport and the turn was routine. The flight to the turn at Russellville was a similar experience except a good lookout was required for towers that extended above the minimum course line altitude for 500 ft AGL. I made the turn around the south end of the runway as required and made a gentle climb to 2,000 ft (which was the specified finish altitude) to get the tail wind for the entire leg to the finish back at the orange and white water tower.

I just received the preliminary results from Mike Thompson and I copied them below.

Race # Name Aircraft Class Speed (MPH) Speed (KTS)

Race 44 Lynn Farnsworth Lancair Legacy Unlimited 291.03 252.90

Race 28 Jeff Ludwig Glasair III Unlimited 251.43 218.49

Race 109 Tom Martin EVO Rocket Sport FX 250.32 217.52

Race 14 Wayne Hadath F1 Rocket Sport FX 242.30 210.55

Race GF George Fisher EVO Rocket Sport FX 227.75 197.91

Race 71 Bob Axsom RV-6A RV Blue 205.97 178.98

Race 3 Marvin Guthrie Bonanza FAC1RG 204.22 177.47

Race 26 Mike Thompson RV-6 RV Blue 204.18 177.43

Race 83 David Adams LongEZ Sprint 197.67 171.77

Race 112 Stu Morse Grumman AA5B FAC4FX 170.69 148.32

Race 704 Terry Hines Mooney Statesman FAC4RG 168.82 146.70

Race 448 Jim Porter Cirrus SR20 FAC3FX 162.93 141.58

Race 2 John Dawson Beech Sierra FAC3RG 160.88 139.80

Race 807 Tom Cawthorn C-172SP FAC4FX 128.57 111.72

Bob Axsom
Bob,

I read your post on the yahoo site and I think the xc race is more significant too. I just think the dash is getting hits because it is new and different. I am very glad we got the race in. After all that work I never had a chance to actually run the dash all out. At the scheduled time of 11 am give or takea few minutes it was so rough when I made those passes I did not go all out and the southwest wind was pretty strong too. It was a good thing we ran it earlier than scheduled. I am 100 percent satisfied with the xc race, but we have work to do on the dash.

Chris M

Chris M.
Reply With Quote
Reply



Posting Rules
You may not post new threads
You may not post replies
You may not post attachments
You may not edit your posts

vB code is On
Smilies are On
[IMG] code is On
HTML code is Off
Forum Jump


All times are GMT -6. The time now is 12:27 AM.


The VAFForums come to you courtesy Delta Romeo, LLC. By viewing and participating in them you agree to build your plane using standardized methods and practices and to fly it safely and in accordance with the laws governing the country you are located in.